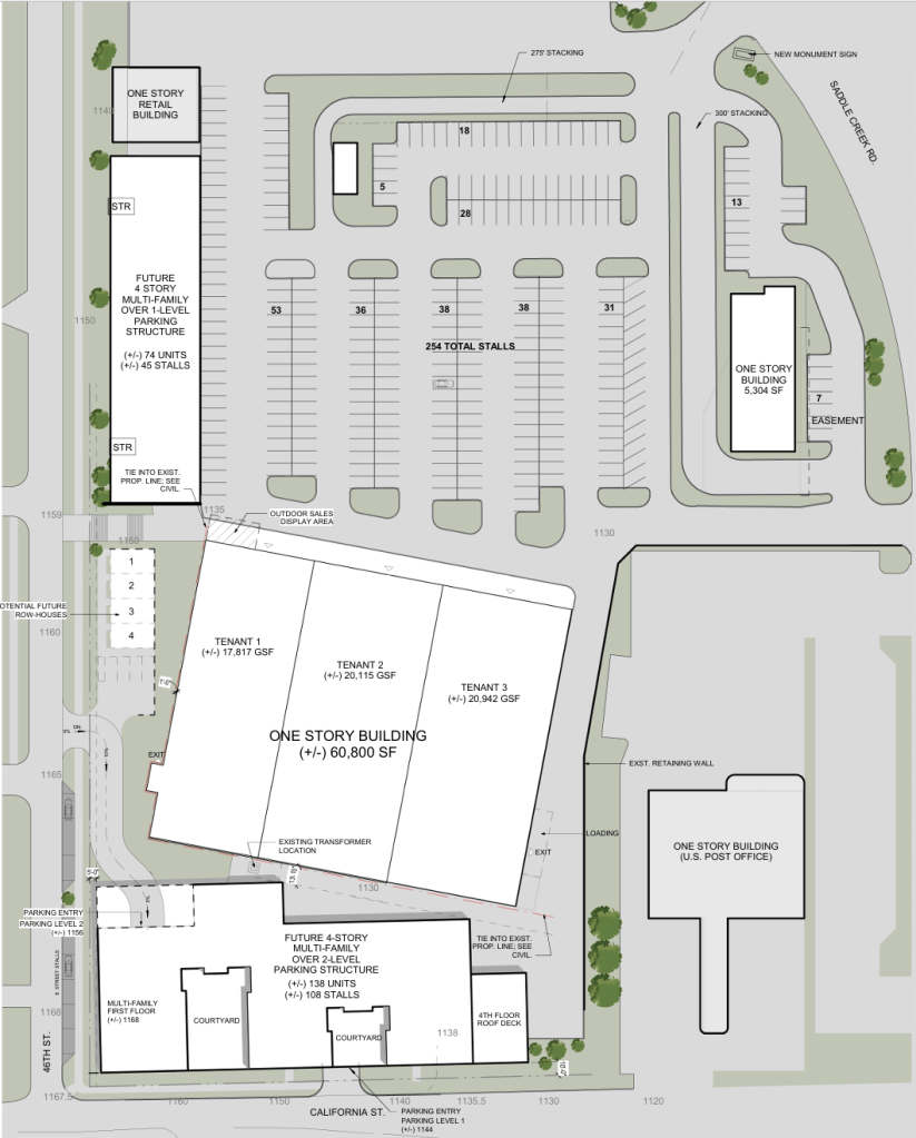
A long-blighted area at the northeast corner of 46th and California Streets may be redeveloped into Saddle Creek Marketplace. Led by Woodsonia, the project includes the Family Fare building in addition to two strip malls.

The first of a five-phase project will see the construction of a new apartment complex on the southern end of the site facing California Street with the Dundee being on the west. The four-story building will contain two floors of underground parking while the upper floors will have apartment units.

The second phase includes the existing Family Fare building. Built in 1991, it started its life as Albertson’s before becoming No Frills and now Family Fare. The building will be gutted and rebuilt with a new facade, roof and utilities giving it a completely different appearance with three bays. From what I’ve read, Family Fare is likely to close regardless of this project.

The remaining three phases will see the construction of a new apartment complex in the northwest corner: a one-story retail building for a single tenant in the north central part of the lot and one-story retail building at the northeast corner.

In total the development will add 223 market apartments, 490 parking stalls and more than 67,000 sq ft of retail space in addition to a new parking lot, landscaping and lighting. This development sites just north of The Duke apartments that also run along 46th and sits between Dodge and California Streets. Amenities for the Saddle Creek Marketplace apartments include courtyards, rooftop decks, fitness center and possibly a swimming pool.

While housing demand in midtown remains strong, there are concerns about affordability with the continued construction of new apartments. Rents for the new apartments will range from $1,222 for a studio up to $2,888 for the largest two-bedroom units. If approved, construction will begin in 2026 with a target completion date of 2030.
Content written by Omaha Exploration. If you enjoy my content, you can follow or subscribe on my Facebook page, signup to receive emails or make a donation on my website. Thank you and until next time, keep exploring!
Read my content on Grow Omaha: Local History by Omaha Exploration | Grow Omaha
Omaha Exploration is sponsored by @Rockbrook Mortgage Inc.

Click the logo to learn more
Click here to learn about opportunities to sponsor Omaha Exploration!
More pictures


Follow OE on social media!
Get an email when new content is posted
Omaha Exploration, 2025. Unauthorized use and/or duplication of this material without express and written permission from this site’s author and/or owner is strictly prohibited. Excerpts and links can be used, if full and clear credit is given to Omaha Exploration with appropriate and specific direction to the original content.
Omaha Exploration proudly supports

Contact me or click the logo to learn more


Leave a Reply